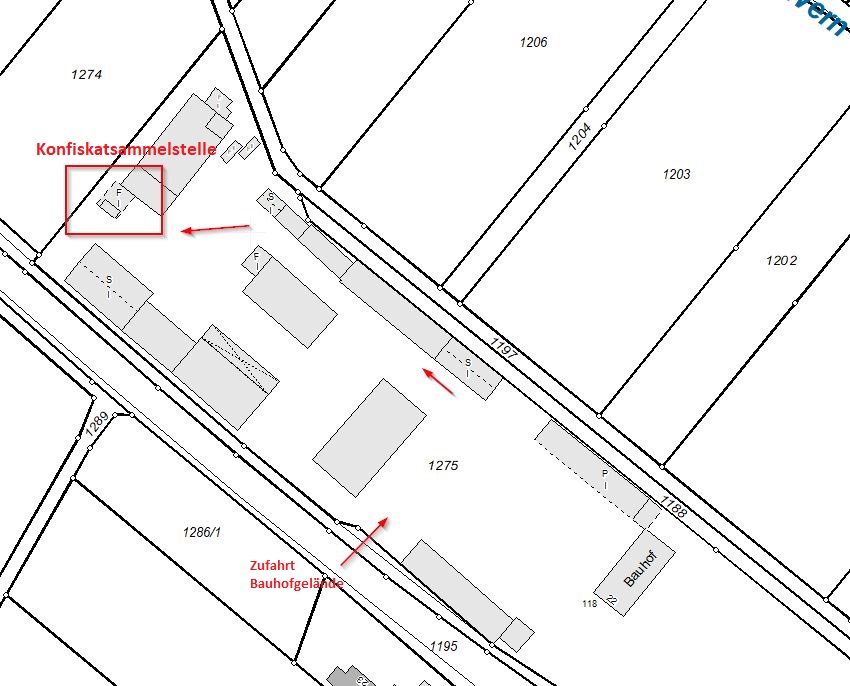
Landkreis Schweinfurt. Die Verwahrstelle, die der Landkreis Schweinfurt auf dem Gelände des Kreisbauhof Niederwerrn (in der Bildergalerie finden Sie Hinweise zur Anfahrt) im Jahr 2018 für den Tierseuchenfall eingerichtet hat, ist seit Mitte Dezember auch zur Nutzung als Konfiskatsammelstelle durch die Jägerschaft freigegeben.
Möglich macht dies die Bereitschaft der Jäger, die Sammelstelle ehrenamtlich zu betreuen. Die Jäger Wolfgang Zeißner, Helmut Brand, Günter Winkler und Jochen Bienmüller überprüfen die ordnungsgemäße und hygienische Entsorgung des Materials und beauftragen bei Bedarf die Abholung durch die Tierkörperverwertung Unterfranken. Außerdem übernehmen sie Reinigung und Desinfektion der Behältnisse sowie der Kühleinrichtung. Der Landkreis Schweinfurt übernimmt in diesem Zusammenhang die Kosten für Strom, Wasser, Entsorgung der tierischen Nebenprodukte sowie Reinigungs- und Desinfektionsmittel.
Landrat Florian Töpper bedankte sich bei einem Vor-Ort-Termin bei der Jägerschaft dafür, dass diese den Betrieb der Sammelstelle ehrenamtlich unterstützt. „Sie leisten damit einen wichtigen Beitrag im Bereich der Seuchenprophylaxe, gerade bei Schwarzwild wissen wir seit Jahren um die drohende Ausbreitung der afrikanischen Schweinepest und haben hier durch gezielte Maßnahmen bislang guten Schutz gewährleisten können“, sagte Töpper. Dieser würde sich nun nochmals verbessern. Der Landrat hob zudem die bewährte, sehr gute Zusammenarbeit zwischen Jägerschaft, Veterinäramt und Umweltamt hervor.
Die Verwahrstelle Niederwerrn war seit Sommer 2024 bereits im Rahmen der Entsorgung von Wildschweinaufbruch aus dem sogenannten Frankenwall (im Landkreis Schweinfurt der Markt Werneck sowie die Gemeinde Wasserlosen) in Betrieb. Die Öffnung als Konfiskatsammelstelle bietet nun die Möglichkeit, weitere Seuchenprophylaxe auch für andere Tierkrankheiten zu leisten. Entsorgt werden dürfen in den in der Kühleinrichtung bereitgestellten Tonnen entsprechend der Vereinbarung mit dem Landkreis Schweinfurt Wildschweintierkörper sowie -aufbruch und Federwild. Die Anlieferung ist in der ausgehängten Liste zu dokumentieren.
Bewährt sich die Nutzung der Verwahrstelle in Niederwerrn als Konfiskatsammelstelle, so ist eine Ausweitung des Angebotes in Zusammenarbeit mit der Jägerschaft beispielsweise auch durch Öffnung der Verwahrstelle in Donnersdorf denkbar.
Die Anlieferung in Niederwerrn ist aktuell insbesondere auf Grund der auf dem Gelände bestehenden Baustelle nur eingeschränkt von Montag bis Donnerstag von 9.00 bis 15.00 Uhr sowie am Freitag von 9.00 bis 11.00 Uhr möglich.
Bild 1: In Niederwerrn wurde die Konfiskatsammelstelle für die Jägerschaft freigegeben, das Bild zeigt (von links): Dr. Anja Heinelt (Veterinäramt), Wolfgang Schmitt (Jagdberater), Landrat Florian Töpper mit Jochen Bienmüller, Helmut Brand, Günter Winkler und Wolfgang Senft vom Jagdschutzverein Schweinfurt sowie Philipp Keller (Umweltamt).


